Αστοχίες και νομικά κενά στο θέμα της εξαγοράς ακινήτων από τον Δήμο βλέπει η “Πεντέλη Πόλη Πρότυπο”. “Αυτές οι αστοχίες καθιστούν τη συγκεκριμένη συναλλαγή πολιτικά λανθασμένη, οικονομικά ασύμφορη και νομικά μετέωρη”, τονίζει στην ανακοίνωση της η Δημοτική Παράταξη.
Αναλυτικά, η ανακοίνωση του γραφείου τύπου της Δημοτικής Παράταξης “Πεντέλη Πόλη Πρότυπο” έχει ως εξής:
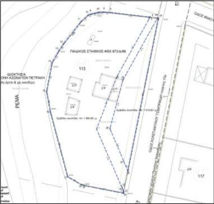
Με αφορμή την εισήγηση της Δημοτικής Αρχής στη Δημοτική Επιτροπή για την απευθείας εξαγορά δύο ακινήτων συνολικού εμβαδού 1.072,41 τ.μ. επί της οδού Τσιμπρικίδη 25 (Ο.Τ. 113), (το οποίο τελικά αποσύρθηκε από τη συζήτηση για να επανέλθει πληρέστερο) η παράταξή μας εκφράζει την έντονη επιφύλαξή της για σειρά “αστοχιών” και νομικών κενών που καθιστούν τη συγκεκριμένη συναλλαγή πολιτικά λανθασμένη, οικονομικά ασύμφορη και νομικά μετέωρη.
Η πρόθεση να δαπανηθούν 536.000 ευρώ από τον ειδικό λογαριασμό των δημοτών των Μελισσίων (τέλος 0,50€/τ.μ. που συγκεντρώνεται επί 18 χρόνια) για την εξαγορά ΚΦ-ΚΧ χώρων, ελέγχεται ως προς τα εξής σημεία:

- Τα οικόπεδα βρίσκονται εντός της Α’ Ζώνης απολύτου προστασίας του Ρέματος Πεντέλης-Χαλανδρίου. Η ίδια η έκθεση εκτίμησης παραδέχεται ότι τα ακίνητα είναι μη οικοδομήσιμα, ανεξάρτητα από τον χαρακτηρισμό τους ως χώροι πρασίνου. Η πρόταση για καταβολή τιμήματος 500 €/τ.μ. στερείται κάθε οικονομικής λογικής. Είναι προκλητικό να αποτιμώνται εκτάσεις με μηδενικό συντελεστή δόμησης σαν να επρόκειτο για άρτια και οικοδομήσιμα ακίνητα, εξισώνοντας προκλητικά την οικιστικά μη αξιοποιήσιμη γη με τις πλέον αξιοποιήσιμες ιδιοκτησίες της περιοχής.
- Καθώς μέχρι σήμερα δεν έχει ολοκληρωθεί η οριοθέτηση του ρέματος από την πολιτεία στο συγκεκριμένο σημείο, τα μετρικά δεδομένα και οι γραμμές δόμησης που εμφανίζονται στο τοπογραφικό διάγραμμα δεν μπορούν να θεωρούνται ασφαλείς (ν. 4258/2014, βλ. ΣτΕ 2145/2021, ΣτΕ 2239/2019). Είναι παράλογο, αν όχι επικίνδυνο, ο Δήμος να προχωρά σε αγορά βάσει μετρήσεων που μπορεί να ανατραπούν στο μέλλον εις βάρος των ιδιωτών. Tο ότι δεν έχει γίνει ακόμη οριοθέτηση ρέματος στο Ο.Τ. 113 δεν επιτρέπει στον Δήμο να συμπεριφέρεται σαν να μην υπάρχει ρέμα, αλλά αντίθετα επιβάλλει ακόμη μεγαλύτερη προσοχή και αυστηρότητα.
- Στο τοπογραφικό που συνοδεύει την εισήγηση, εμφανίζεται ως ιδιοκτήτης της έκτασης του ρέματος δίπλα στα οικόπεδα η Μονή Πετράκη. Πρόκειται για πρωτοφανή, αν όχι ύποπτη, ανακρίβεια λόγω της γενικότερης σχέσης των διαφόρων εκκλησιαστικών ιδρυμάτων με τις εκτάσεις του Δήμου. Σύμφωνα με τον νόμο και τη νομολογία (ΣτΕ 176/2018, ΣτΕ 431/2020, ΣτΕ 1242/2016 & άρθρα 967–968 ΑΚ), τα ρέματα είναι κοινόχρηστα και ανήκουν στο Δημόσιο. Η αποδοχή τέτοιων στοιχείων από τη Διεύθυνση Πολεοδομίας του Δήμου εγείρει σοβαρά ερωτήματα για την ποιότητα του ελέγχου της εισήγησης.
Καλούμε τη Δημοτική Αρχή:
- Να επανεξετάσει την ορθότητα της επιλογής εξαγοράς από πλευράς προτεραιοτήτων έναντι άλλων επιλογών ΚΦ-ΚΧ χώρων. Τα χρήματα του τέλους 0,50€ προορίζονται για την απόκτηση κρίσιμων Κοινόχρηστων Χώρων που κινδυνεύουν με απώλεια (άρση ρυμοτομικής απαλλοτρίωσης). Η διάθεσή τους για “παραρεμάτια” οικόπεδα, τα οποία ούτως ή άλλως προστατεύονται από τη νομοθεσία περί ρεμάτων και δεν μπορούν να κτιστούν, στερεί πόρους από άλλες γειτονιές των Μελισσίων που έχουν άμεση ανάγκη από ελεύθερους χώρους.
- Να αναμένει την τελεσίδικη οριοθέτηση του ρέματος.
- Να εξηγήσει γιατί αποδέχεται τοπογραφικά που εμφανίζουν δημόσια ρέματα ως ιδιοκτησία τρίτων.
- Αν ο Δήμος επιμένει στην αγορά, αυτή πρέπει να γίνει με όρους αγροτεμαχίου και όχι οικοπέδου “φιλέτου”.
Η διαχείριση του δημοτικού χρήματος απαιτεί τουλάχιστον κοινή λογική και σεβασμό στις ανάγκες και τους κόπους των δημοτών.
Καλούμε τη Δημοτική Αρχή να σταματήσει κάθε διαδικασία που ζημιώνει τον Δήμο.




